Trabajos y medidas durante la Festividades de la Virgen del Valle

La Municipalidad de la Capital informa que los lugares designados para recibir a los peregrinos, en estos días previos a la procesión de la Virgen del Valle, se encuentran en las condiciones adecuadas para su hospedaje.
miércoles, 4 de diciembre de 2013 00:00
miércoles, 4 de diciembre de 2013 00:00

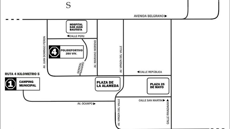
Los baños que corresponden al Parque “Adán Quiroga”, el Camping Municipal, los Polideportivos Sur y del barrio 250 viviendas estarán abiertos en horario corrido durante los días viernes, sábado y domingo.

A partir de hoy en los principales accesos a la ciudad y espacios públicos, se proveerá a los visitantes de folletería informativa sobre la ubicación de los lugares designados para alojarse.

Desde diferentes áreas de la comuna se planificó un operativo de control para evitar la instalación de carpas en plazas y lugares públicos, donde está totalmente prohibido. Las medidas preventivas consisten en la provisión de información continua a los peregrinos que arriben a estos sectores, con personal designado que los guiará para ubicarse en los lugares sugeridos, que incluyen escuelas dentro del casco céntrico.

También se organizan guardias permanentes en  los espacios públicos donde se trabajará en el mantenimiento de la limpieza e higiene, puesto que las plazas son las más perjudicadas por el volumen de personas que llegan a nuestra ciudad en esta importante fecha.

Los trabajos previos

De manera articulada y con el objetivo de resguardar la seguridad de quienes nos visiten y de los vecinos, las distintas dependencias municipales trabajaron sobre el desmalezamiento y  limpieza en los principales accesos y espacios verdes, mejora en el sistema eléctrico en distintas arterias, con reposición de lámparas y la intervención en todos los servicios públicos.

Cabe mencionar, que algunas acciones previstas para esta fecha se trabajan en forma conjunta con personal policial y organismos pertenecientes a la provincia.

 

 

Comentarios