Corte de calles por la elección de la Reina de los Estudiantes 2016

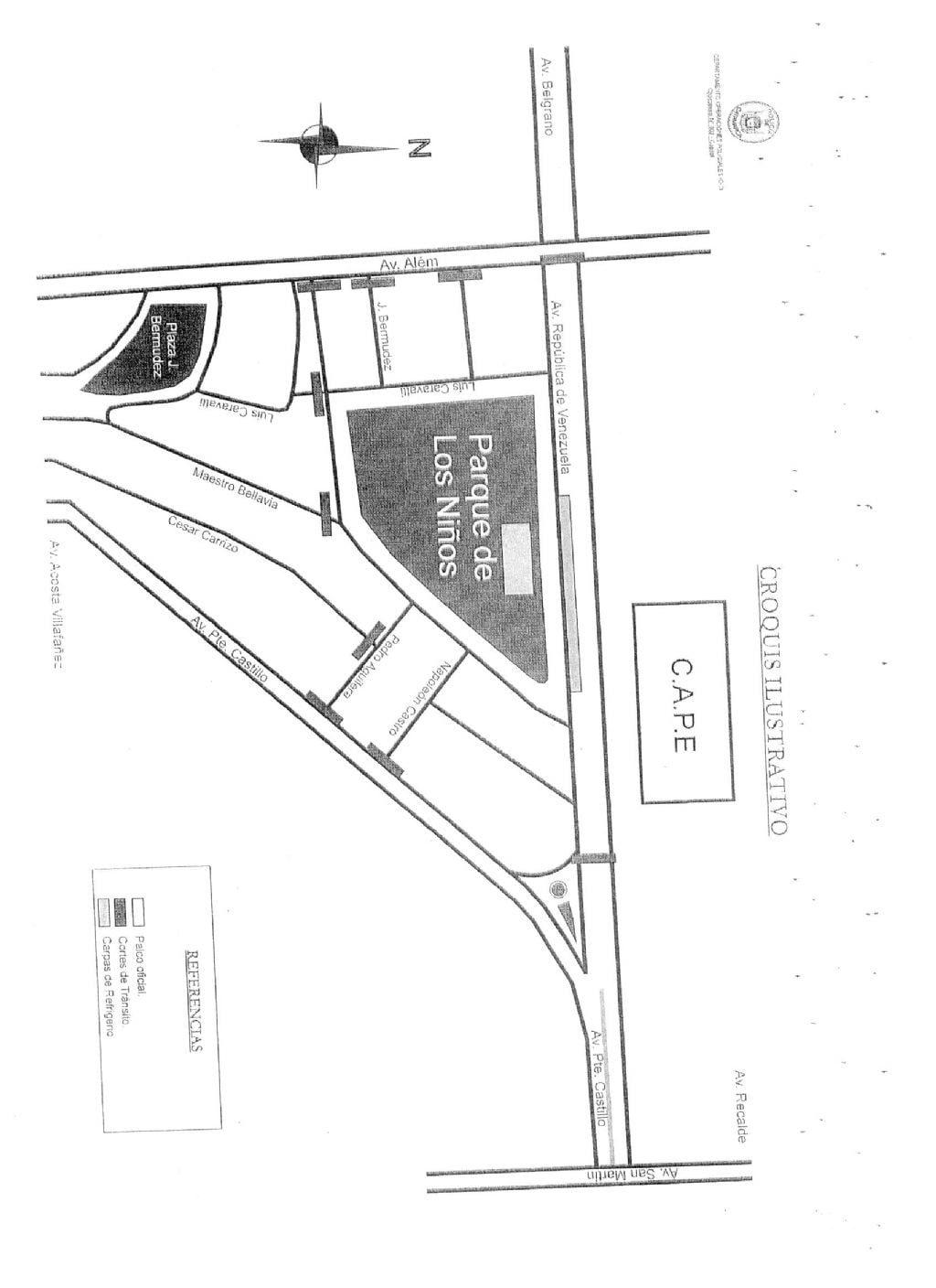
En la tarde de este viernes, a partir de las 16 horas, desde el Departamento de Operaciones Policiales de la Policía de la provincia, se dará inicio al servicio de seguridad en el Parque de los Niños.
viernes, 16 de septiembre de 2016 09:09
viernes, 16 de septiembre de 2016 09:09

El operativo constará de cortes de calles, distribución de personal policial en inmediaciones del escenario y lugares donde se desarrollaran las actividades por elección de la Reina de la Capital y Provincial los Estudiantes 2016, que iniciará a las 18 hasta las 00 horas aproximadamente.

Durante el operativo, el personal policial interviniente prestará el servicio de ordenamiento y control del tránsito vehicular en las distintas arterias que permiten el acceso al Parque de los niños, coordinando con la municipalidad e la Capital (Agentes de la Guardia Urbana y personal de Tránsito Municipal).

Los cortes  están previstos en las siguientes arterias:

Avenida Alem y Avenida República de Venezuela;

Avenida República de Venezuela y Avenida Presidente Ramón S. Castillo (Rotonda del ex regimiento);

Avenida Ramón S. Castillo y calle Napoleón Castro;

Avenida Ramón S. Castillo y calle Padre Olmos y Aguilera;

Calle Padre Olmos y Aguilera y calle Cesar Carrizo;

Calle Maestro J. Bellavia;

Calle Luis Caravatti y calle Jorge Bermúdez;

Avenida Alem y calle Almagro;

Avenida Alem y calle Jorge Bermúdez;

Avenida Alem y calle Perú.

Finalmente, desde Jefatura de Policía se evaluó la presencia de los efectivos policiales para que no se registren situaciones ni hechos en los cuales los efectivos policiales se vean superados, para que los jóvenes puedan vivir una feliz jornada.

8
3

Comentarios