EE.UU: advierten que nuevo huracán es "potencialmente catastrófico"

Cuando Texas apenas se recobra luego de las peores inundaciones de su historia provocadas por la tormenta Harvey a fin de marzo, una nueva amenaza asoma en el horizonte.
martes, 5 de septiembre de 2017 20:16
martes, 5 de septiembre de 2017 20:16
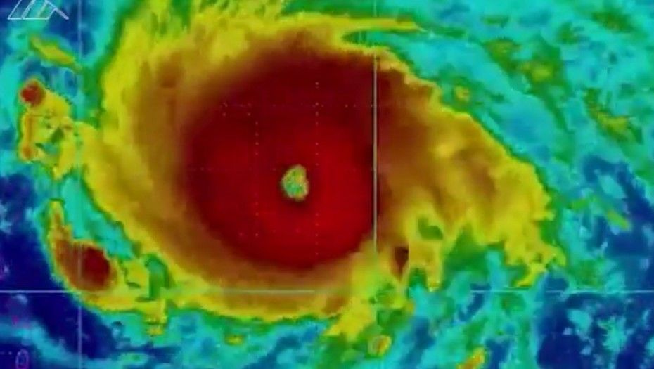
Se trata del huracán Irma, cuyo avance se fortaleció hoy en su ruta sobre el Caribe al alcanzar la categoría 5, la máxima posible. El hecho ya puso en alerta al cordón insular formado por las Antillas francesas, Haití, Dominicana y Cuba y en estado de emergencia a la península de Florida.

En su más reciente boletín, el Centro Nacional de Huracanes de Estados Unidos (CNH) describió este mediodía al ciclón como un huracán "potencialmente catastrófico” y emitió advertencias para la mayoría de las islas de las Antillas. Ayer, Irma se desplazaba hacia el oeste a 22 kilómetros por hora con vientos máximos sostenidos de 285 kilómetros por hora. Se espera que la trayectoria se mantenga.

Hoy fueron suspendidos la mayoría de los vuelos entre Puerto Rico y otras islas del Caribe y cesó totalmente la actividad marítima. La última vez que Puerto Rico enfrentó un huracán categoría 5 fue en 1928, cuando el ciclón San Felipe arrasó la isla. El último huracán que impactó al país fue Georges en 1998.

En Haití, en tanto, las autoridades declararon alerta amarilla y pidieron a la población estar pendientes de los mensajes oficiales a través de las radioemisoras. En la isla de Antigua se han retirado los barcos de los puertos y varias viviendas y comercios en zonas costeras han colocado protección especial en puertas y ventanas.

En Cuba, a su vez, los medios oficiales no han difundido informes especiales sobre el huracán, aunque el Instituto de Meteorología emitió un aviso de ciclón tropical y muchos cubanos acudían a los comercios a comprar provisiones y agua potable, en prevención de una emergencia.

En Florida, las autoridades instaron a los turistas a evacuar el extremo suroeste del Estado, mientras se estudia la evacuación total de los residentes del área, incluyendo la turística zona de los Cayos. El gobernador Rick Scott declaró desde el lunes el estado de emergencia en los 67 condados y urgió a la población a alistar sus kits de emergencia. "La preparación ante desastres debe ser una prioridad para cada familia en Florida”, escribió en su cuenta de Twitter.

El Centro Nacional de Huracanes subrayó que aún es demasiado pronto para predecir dónde tocaría tierra "Irma” en Estados Unidos y si, en efecto, lo hará. Se cree que podría alcanzar la costa de ese estado el fin de semana, a menos que gire antes y vuelva a internarse en el mar. Pero aún está fresco el recuerdo del huracán Andrew, que arrasó Florida en 1992 por el centro del Estado, de un modo similar al que se teme que ocurra con "Irma”.

Se estima que Irma podría alcanzar a finales de esta semana la costa este de EE.UU., apenas unos días después del paso devastador de Harvey (de categoría 4) que dejó al menos 42 muertos y enormes daños materiales, especialmente en el Estado de Texas. Harvey era menos potente que Irma, pero provocó "fenomenales acumulaciones de lluvia, durante cinco a siete días”, dijo Emmanuel Demael, experto de Météo France.

Irma producirá acumulaciones de lluvia de entre 20 y 30 centímetros con máximas aisladas de 45 centímetros en las islas del Caribe y se estima que la marejada ciclónica elevará el nivel del mar de 2 a 3 metros.
2
1
0%
Satisfacción
0%
Esperanza
0%
Bronca
100%
Tristeza
0%
Incertidumbre
0%
Indiferencia

Comentarios